
Топографическая съемка – это инструмент точного анализа рельефа и инфраструктуры участка с привязкой к государственной системе координат. Она необходима при проектировании зданий, инженерных сетей, дорог, а также для постановки участка на кадастровый учет или внесения изменений в существующие границы.
Основная цель съемки – создание топографического плана с точностью до сантиметра, где отображаются все элементы местности: рельеф, здания, коммуникации, дороги, деревья, ограждения и прочие объекты. Такой план служит обязательной основой для любых проектных и строительных работ.
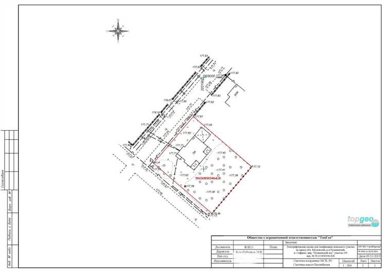
Особенности проведения топосъемки зависят от масштаба: для частных участков чаще всего используется масштаб 1:500, для крупных территорий – 1:1000 и мельче. При этом применяются электронные тахеометры, GNSS-приемники, а в ряде случаев – беспилотные летательные аппараты с фотограмметрической обработкой данных.
Важно учитывать точность съемки в зависимости от рельефа и плотности застройки. На участках с перепадом высот требуется большее количество точек измерений, а в городской застройке необходимо согласование доступа к закрытым территориям. Все эти параметры влияют на сроки и стоимость работ, а также на состав итоговой документации.
Когда требуется топографическая съемка: правовые и проектные основания

Топографическая съемка необходима в ряде строго регламентированных случаев, как при оформлении документов, так и при разработке проектной документации. Основания определяются действующим законодательством РФ и требованиями нормативных документов в сфере градостроительства и землеустройства.
- Получение разрешения на строительство – согласно Градостроительному кодексу РФ, топографическая съемка масштаба 1:500 входит в состав инженерных изысканий и необходима для подготовки проектной документации, подаваемой на экспертизу.
- Проектирование объектов капитального строительства – для разработки генерального плана участка и привязки зданий к местности требуются актуальные топографические материалы, содержащие информацию о рельефе, коммуникациях, границах и объектах застройки.
- Проведение кадастровых работ – при формировании межевого плана или уточнении границ участка съемка обеспечивает точность координат, обязательную для внесения в ЕГРН.
- Подготовка документации для подачи в органы архитектуры – в ряде муниципалитетов требуется предоставление топоосновы для получения ГПЗУ или согласования проектных решений.
- Проектирование инженерных сетей – данные съемки используются при трассировке коммуникаций, обеспечивая корректное расположение трубопроводов, кабелей и колодцев с учетом реального рельефа и существующих объектов.
- Реконструкция и благоустройство территории – при изменении планировки участка или создании инфраструктурных объектов съемка выявляет препятствия, уровень уклонов, границы зон ограничений.
Съемка должна проводиться лицензированной организацией с применением геодезических приборов, обеспечивающих погрешность не более 0,1 м. Актуальность данных ограничена сроком – в большинстве случаев не более 12 месяцев.
Какие документы подготавливаются по результатам съемки

К топоплану прилагается пояснительная записка с указанием исходных данных, методики съемки, приборов, систем координат и высот, точности измерений. Также описываются выявленные несоответствия и особенности рельефа, если они критичны для проектирования.
Геодезическая схема опорных пунктов включает координаты, способы закрепления, марки и точность определения. Это необходимо для воспроизведения съемки и привязки новых объектов на местности.
Графические материалы включают цифровую модель местности в формате DWG, DXF, XML или форматы, требуемые проектной организацией. Они передаются в виде электронных файлов и могут сопровождаться печатными копиями.
Акт сдачи-приемки геодезических работ подписывается заказчиком и исполнителем. В нем фиксируются объем, сроки, перечень переданной документации, замечания и подтверждение соответствия требованиям технического задания.
При необходимости готовится технический отчет, в который включаются чертежи, расчеты точности, описание использованного программного обеспечения и результаты полевых и камеральных этапов работ.
Чем отличается съемка для ИЖС, СНТ и коммерческого строительства
Индивидуальное жилищное строительство (ИЖС) требует топографической съемки масштаба 1:500 с обязательным отображением границ участка, инженерных сетей, рельефа и капитальных объектов. Материалы используются для проектирования фундамента, подключения коммуникаций и получения разрешения на строительство. Обязательна актуализация данных в рамках ГПЗУ и привязка к кадастровому плану.
Садоводческие некоммерческие товарищества (СНТ) чаще всего ограничиваются съемкой масштаба 1:500 или 1:1000. Главный акцент – подтверждение границ участков, выявление фактического землепользования и согласование с существующими планами СНТ. Коммуникации, как правило, проходят по общим участкам, поэтому точность прокладки трасс важна при передаче данных в ресурсоснабжающие организации.
Коммерческое строительство требует детальной съемки масштаба 1:500 или крупнее, с расширенным перечнем объектов: подземные и надземные коммуникации, технические зоны, охранные полосы, дорожная инфраструктура, инженерные сооружения. Обязателен инженерно-геодезический раздел в составе ИРД. При наличии нескольких проектных очередей – поэтапная съемка с актуализацией перед началом каждой стадии. Часто проводится трехмерная модель местности для точного планирования объемов земляных работ.
Какие приборы используются при выполнении съемки и зачем это знать заказчику
Топографическая съёмка выполняется с применением точных геодезических приборов, от которых напрямую зависит качество и детализация полученных данных. Заказчику важно понимать, какие инструменты использует исполнитель, чтобы оценить уровень работ и избежать недостоверных планов, влияющих на проектирование и строительство.
Электронный тахеометр – основной прибор для съемки. Он измеряет расстояния, углы и координаты с высокой точностью. Современные модели позволяют быстро фиксировать объекты на местности и автоматически сохранять данные для последующей обработки. Тахеометр необходим при съемке участков со сложным рельефом и плотной застройкой.
GNSS-приёмники (GPS/ГЛОНАСС) используются для определения координат точек в глобальной системе. Они особенно эффективны при съемке больших территорий или в труднодоступных местах, где невозможно использовать тахеометр. Для достижения сантиметровой точности применяются режимы RTK или статика.
Нивелир – специализированный прибор для определения перепадов высот. Он используется при создании топографических планов с точной вертикальной составляющей, необходимой, например, при проектировании дренажа или дорог. Заказчику стоит убедиться, что исполнитель применяет нивелир, если важны высотные отметки.
Лазерные дальномеры и цифровые уровни могут использоваться в качестве вспомогательных инструментов для уточнения расстояний и высот внутри объекта. Их применение говорит о внимательном подходе к деталям.
Если исполнитель работает исключительно с ручными средствами или мобильными приложениями без сертифицированного оборудования, это повод усомниться в точности съемки. Заказчику стоит запрашивать информацию о применяемых приборах и точности измерений, особенно если данные будут использоваться для получения разрешения на строительство или разработки проектной документации.
Как выбрать масштаб топографического плана в зависимости от назначения

1:500 – применяется для проектирования объектов с высокой плотностью застройки: многоэтажные здания, инженерные сети, реконструкция кварталов. Позволяет отразить малейшие детали рельефа и построек. Рекомендуется для участков площадью до 2 гектаров.
1:1000 – оптимален для застройки частных участков, коттеджей, малоэтажных жилых домов. Обеспечивает достаточную детализацию для подготовки проектной документации и согласований. Подходит для территорий до 5 гектаров.
1:2000 – используется при планировании инфраструктуры в пределах населённых пунктов: улицы, сети, благоустройство. Подходит для генерального плана и предварительной оценки территории. Рекомендуется для площадей от 5 до 20 гектаров.
1:5000 – предназначен для обоснования крупных инженерных и транспортных объектов, разработки схем территориального планирования. Масштаб позволяет охватить до 100 гектаров без потери общей структуры участка.
1:10000 и мельче – применяются для регионального анализа, прокладки линейных объектов (дороги, ЛЭП, трубопроводы) и предварительной разведки. Подробности местности отображаются схематично, акцент – на пространственные связи и конфигурацию рельефа.
Выбор масштаба зависит от целей изысканий, требований проектной документации и размеров участка. Недостаточная детализация может привести к ошибкам при проектировании и согласовании.
На что обратить внимание при заказе съемки у подрядчика

Перед заключением договора важно проверить наличие у подрядчика лицензии на геодезическую деятельность. Без нее результаты съемки не будут иметь юридической силы при согласовании в органах архитектуры и градостроительства.
Уточните, какое оборудование используется. Современные электронные тахеометры и GNSS-приемники с поддержкой RTK обеспечивают точность до 2-5 см. Использование устаревших приборов существенно снижает качество съемки.
Запросите примеры выполненных работ. Обратите внимание на детализацию плана: должны быть отображены границы участка, строения, рельеф, подземные и надземные коммуникации, зеленые насаждения, дорожное покрытие. Отсутствие этих элементов свидетельствует о неполноте съемки.
Обсудите масштаб топоплана. Для участков под частное строительство обычно применяют масштаб 1:500. Для более крупных территорий – 1:1000. Несоответствие масштаба назначению может привести к отказу при подаче документов в контролирующие инстанции.
Проверьте сроки выполнения. Адекватный срок – 3–7 рабочих дней для участка площадью до 1 га. Более длительные сроки без объективных причин говорят о низкой производительности или высокой загруженности подрядчика.
Уточните формат предоставляемой документации. Должны быть переданы бумажная копия топоплана с подписями и печатями, а также цифровой файл в формате .dwg или .dxf для работы проектировщиков.
Проверьте, включает ли стоимость съемки камеральную обработку и оформление технического отчета. Без этих этапов результат не будет полным и пригодным для дальнейшего использования.
